Форум Блог Новости Путеводитель   Реклaма

Фото-репортажи › Рыбы!

Карма 16
14.01.2009
ну и снобы а. А! Ж)
Карма 268
14.01.2009
Не рыбы, зато живые ))))))))
Карма 3
15.01.2009
Вот Вам живая рыбка!!! с островов Борнео
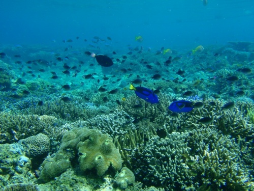
Карма 3
15.01.2009
и еще!!!
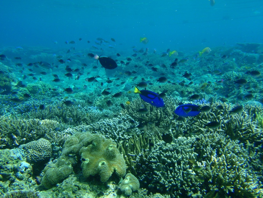
Карма 171
15.01.2009
Cheese naan
и еще!!!
Lora  ж
Карма 15
3.10.2009
а это рыба-конь!
Помощь сайту
Войди или зарeгиcтpируйся, чтобы писать
Случайные топики
Новое в Блоге